基本信息

  • 别名:滇野豌豆,Vicioides sepium
  • 学名:Vicia sepium L.
  • 中文名:野豌豆
  • 别名:黑荚巢菜(hēi jiá cháo cài); 滇野豌豆(diān yě wān dòu)
  • 分类:植物界 > 维管植物门 > 木兰纲 > 豆目 > 豆科 > 野豌豆属
  • 分布地:陕西、甘肃、新疆、四川、重庆、贵州、云南

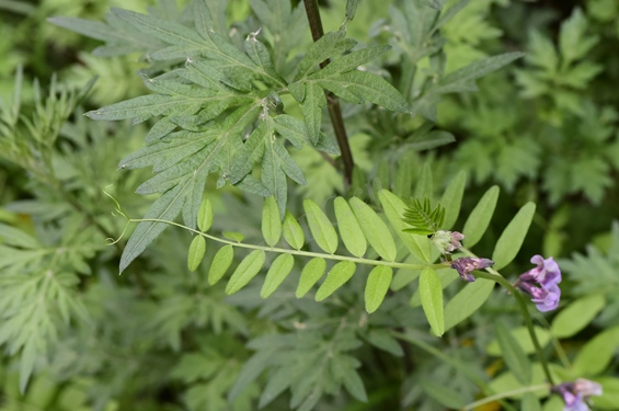
图片

野豌豆 1 朱仁斌 · 甘肃省甘南藏族自治州舟曲县 · PPBC/5921410 查看原图

野豌豆 2 周繇 · 吉林省通化 · PPBC/350556 查看原图

野豌豆 3 蒋洪 · 四川省四川省四川省 · PPBC/12904675 查看原图

野豌豆 4 叶喜阳 · 四川省阿坝藏族羌族自治州九寨沟县 · PPBC/12382915 查看原图

分类信息

模式产地

模式标本采自欧洲;

形态特征

生活型

多年生草本;

高0.3-1米;

根茎匍匐;

偶数羽状复叶长7-12厘米,卷须发达;托叶半戟形,有2-4裂齿;小叶5-7对,长卵圆形或长圆披针形,长0.6-3厘米,先端钝或平截,微凹,有短尖头,基部圆,两面被疏柔毛,下面毛较密;

总状花序有2-4(-6)花;花序梗几不明显;花萼钟状,萼齿披针形或锥形,短于萼筒;花冠长1.8-3厘米,红、紫或浅粉红色,稀白色,旗瓣近提琴形,先端凹,翼瓣短于旗瓣,龙骨瓣内弯,短于翼瓣;子房线形,无毛,胚珠5,子房柄短,花柱与子房联接处呈近90°夹角,柱头远轴面有一束黄髯毛;

荚果扁,长圆形,长2-4厘米,成熟时亮黒色,顶端具喙,微弯;

染色体

2n=12,14,16-18;

生态习性

产地

西北、西南各省区;

分布

俄罗斯、朝鲜、日本亦有;

生境

山坡、林缘草丛;

海拔

1000-2200m;

物候

花期6月,果期7-8月;

Updated: